AIR TRAFFIC 101
Background
The Federal Aviation Administration is solely responsible for the direction and control of all aircraft in the United States National Airspace System (NAS), both military and civilian. Any way you slice it the scale of operations for which the FAA is responsible for managing is enormous. The United States aviation system is by far the largest and most complex in the world in terms of yearly service volume, equipment, personnel, total airports served, commercial airline flights handled, passengers transported, and just about every other meaningful statistic. Here are a few key statistics taken from the FAA's 2019 Traffic by the Numbers Report.
In 2019 the FAA handled 16,122,000 flights across 29.4 million square miles of airspace encompassing 19,627 airports. With its 14,695 air traffic controllers directing an average of 44,000 flights a day from 518 ATC towers, 154 TRACONs, and 25 En Route Centers. While more than 6,000 airway transportation system specialists serviced and maintained 77,000+ NAVAIDS and other pieces of computer hardware and equipment. At the same time inspectors on the ground ensured the safety of over 7,628 commercial transport aircraft and 211,800 general aviation aircraft, including 167,100 fixed-wing aircraft, 10,500 rotorcraft, and 34,200 experimental/lightcraft which flew a total of 25,212,000 flight hours in 2019. All of this flight activity, equipment, and personnel was managed within a budget of 7.5 billion dollars for the fiscal year.
While airports are operated by municipal governments or airport authorities those entities do not have the authority to dictate to the FAA which runways are used and how often. Airports with few exceptions work collaboratively with the FAA to ensure voluntary participation in noise abatement procedures. The FAA whenever possible will direct pilots to follow specific noise abatement guidance and may even publish these procedures, or codify them into a memorandum of agreement (MOA) or letter of agreement (LOA) that outlines how they will work with the airport to help it achieve its noise abatement objectives.
The Influence of Wind
Wind direction is critical in aviation, as the wind direction changes so do the direction that aircraft takeoff and land. This is due to the fact that to ensure the safety of flight all aircraft must land and take off into the wind. This action reduces the amount of runway needed during both takeoff and landing by increasing a plane's airspeed, (flow of air over the wings), and reducing its ground speed (speed of the aircraft over the ground).
For instance, an airplane sitting on the runway ready to takeoff pointed into a 10-knot headwind already has 10 knots of airspeed even though it is stationary making its groundspeed zero. The same is true during landing if a plane is landing into a 10-knot headwind and the airspeed indicator states its flying at 140 knots its ground speed is 130 knots. Landing or taking off with a tailwind can be dangerous because the airplane uses more runway to reach takeoff speed and come to a stop on landing reducing the available safety margin.
At major commercial airports like DFW and DAL, every runway has an anemometer or wind indicator which displays real-time wind conditions to controllers in the tower, indicating both sustained winds and gusts. At large hub airports like DFW changing the flow, direction (runways used) is a complicated process involving coordination from multiple airports including DAL, as well as Dallas-Forth Worth Terminal Radar Approach Control (Dallas-Fort Worth TRACON), and it can't be done quickly. It's a bit like trying to turn a large ship around at sea, it takes a long time.
The graphic below illustrates the two primary traffic flows in use at DFW during daytime hours. When the FAA changes the flow direction at DFW it is a very complex maneuver that must be executed with absolute precision and requires coordination between other airports.
Because of the challenges involved in changing flows, the FAA monitors weather forecasts closely and expected demand on the runways to try to determine the optimum time to make the shift to a different flow when traffic volumes are lighter which gives TRACON time to start shifting aircraft onto the new flow. This is why sometimes aircraft may continue to use a particular flow after the wind direction shifts. ATC is likely in the process of shifting the flow direction but must first deal with aircraft already in the arrival pattern for landing and clear departing aircraft out of the airspace.
If the wind directions shift suddenly and with enough intensity to make the current flow unsafe, i.e. the tailwind or crosswind component is too high to allow for safe takeoffs and landings, it will force ATC to make an abrupt shift in the traffic flow. This can lead to airborne holds and landing and takeoff delays as controllers reroute all the airborne traffic and resequence airplanes in the new flow direction to land and takeoff.
FAA Order JO7110.65Y defines the parameters under which the FAA determines which runway to use based on the wind speed and direction. When the wind speed is less than five knots conditions are considered to be "Calm Wind," allowing the use of any runway assuming weather and operational conditions permit. When the wind speed reaches five knots or greater including gusts the FAA is required to use the runway most nearly aligned with the wind. However, the pilot in command can request a different runway from that assigned by ATC for operational safety reasons. If the runway requested is available ATC will grant the request without delay and alert the pilot if the runway is noise sensitive.
DFW doesn't have a preferred flow direction, and in most years the spilt between north and south flow operations ends up being close to even.
Other Runway Selection Factors
While wind speed and direction are the primary consideration for Runway selection by the FAA there are other factors that determine runway use that must be considered by ATC.
- The number and type of aircraft
- Length of the runway(s)
- Weather conditions (both present and forecast); including wind velocity and gradient, wind shear, wake turbulence effects, and position of the sun
- Availability of approach aids in poor visibility conditions
- Location of other aircraft
- Taxiing distances, including the availability of taxiways
- Runway braking conditions (water, slush, or snow on the runway)
Number and Type of Aircraft
ATC at large airports has to manage a diverse range of aircraft that have a vastly different approach, landing, and takeoff speeds. In order to safely mix piston-engined, turboprop, and jet aircraft they have to sequence aircraft in a specific way ensuring there is adequate spacing between arrivals and departures in a way that minimizes delay both on the ground and in the air. Controllers must also consider the maximum takeoff and landing weight of airplanes, to ensure they are assigned to the correct runway based on their performance limitations.
Length of Runway
Larger wideboy aircraft embarking on international flights and even narrowbody aircraft that are heavily loaded with fuel and passengers for a trans-continental flight, especially in warm weather conditions require longer runways for takeoff. These situations limit the choices of the runway that can be assigned by ATC. Fortunately for DFW, this isn't usually an issue as the four main runways are an identical 13,400 feet in length.
However on the rare occasion when the airport is operating in a northwest flow due to strong northwest winds which make using the north/south runways impossible due to excessive crosswinds, the two remaining parallel runways 13L/31R and 13R/31L serve as the primary arrival and departure runways. These parallel runways at 9,000 feet are full 4,100 feet shorter than the main north/south runways, which can pose an issue for some long-haul international flights. These heavy international flights may need to reduce their takeoff weight by removing cargo, bags, and passengers to ensure there is adequate runway to become safely airborne and or if needed sufficient runway to stop should the takeoff need to be aborted before reaching the decision speed known as "V1."
Weather Conditions
When forward visibility and cloud ceilings decrease it limits the available runway options for ATC, based on how low the combined ceiling and runway visual range (RVR) is. Not all aircraft and pilots are certified to fly all categories of an ILS approach even if the runway is certified for these operations. A combination of the runway lighting, approach lighting, and accuracy of the ILS equipment determine the certification category of a particular runway's ILS system. There are two main weather factors that determine the category of an instrument approach and those are Decision Height/Decision Altitude and Runway Visual Range (RVR).
As illustrated in the graphic below Decision Height (DH) refers to the minimum height above ground level (AGL) which is usually the elevation of the runway, while Decision Altitude (DA) refers to the minimum height above mean sea level (MSL). Upon reaching the DH or DA the pilot must visually sight the approach lights, runway lights, or markings. If the runway can not be sighted upon reaching this minimum altitude the approach must be abandoned and the aircraft must initiate a go-around. The decision height/decision altitude is established for each specific runway and calculated to allow sufficient time for the airplane to be reconfigured to climb and execute the missed approach procedure while remaining clear of terrain and other obstacles.
Runway Visual Range (RVR) is defined as the horizontal distance a pilot on the centerline of the runway can expect to see down the runway, based on sighting either the High-Intensity Runway Lights (HIRL) or the visual contrast of other targets, whichever yields the greater visual range. It is measured automatically by a scatterometers device that is mounted 14 feet above the Runway Centerline (RCL) elevation, between 0 - 2,500 ft. from the runway threshold and 400 ft. laterally from the centerline of the runway.
RVR is expressed in feet of forward visibility in 100, 200, or 500-foot increments depending on the level of visibility. The RVR is reported in 100 ft. increments below 800 ft. and 200 ft. increments between 800 and 3,000 ft, and 500 ft. increments between 3,000 and 6,500 ft. An RVR reading of less than 50 ft. is reported as 0 ft and the system rounds off the calculated value based on the appropriate reporting increment; for example, an RVR report of 800 ft. indicates an actual RVR value between 751 ft. and 899 ft.
The number of RVR sensors required per runway is based on the length, but a minimum of three are required. One in the touchdown zone, one at the runway midpoint, and one in the roll-out area at the opposite end of the runway. For our 12,000 ft. runway example four sensors would be required. As measured from the runway threshold they would be placed at 2,500 ft., 5,000 ft., 7,000 ft., and 9,500 ft. These sensors provide ATC will multiple measurements of the RVR depending on which end of the runway is being used.
Availability of Approach Aids in Poor Visibility
The cloud ceiling and visibility also play a factor as each runway has different minimum descent altitudes and decision heights based on the certification of the instrument landing system (ILS) and the type of approach lighting installed. As the chart below illustrates the higher the ILS category the lower the decision height and runway visual range requirements are for a safe landing. CAT III-C essentially permitting landings with zero visibility assuming the aircraft and flight crew are also certified to perform a CAT III-C approach. There are five categories of ILS Approaches I, II, III-A, III-B, and III-C.
| Category | Decision Height | Runway Visual Range |
| I | > 200 ft. | > 1,800 ft. or visibility > 2,600 ft. |
| II | 100-200 ft. | 1,200 - 2,400 ft. |
| III-A | < 100 ft. | > 700 ft. |
| III-B | < 50 ft. | 150 - 700 ft. |
| III-C | no limit | none |
Each category of approach has different requirements of the runway in order to legally conduct the approach. These approaches can also require special authorization to be flown by the pilot and the aircraft must be outfitted with the proper equipment. CAT II and III approaches are not authorized to be flown by a single pilot operator, requiring two certified pilots, two sets of flight instruments, and two independent ILS receivers in the aircraft. CAT III approaches are completely flown by the autopilot including the approach, landing, and roll out on the runway with no pilot intervention.
Let's have a look at the approach plate for the Runway 35C ILS (CAT II & III) at Dallas-Fort Worth International Airport (KDFW), depicted below to better understand how DA and RVR requirements work.
The first thing to notice on the approach plate is that there are four different approach categories. Not all categories are available to every pilot and aircraft. CAT IIIa, b, and c require special flight crew and aircraft training and certification to be flown.
The yellow highlighted section at the bottom of the plate indicates the landing minimums for the CAT II ILS Approach to Runway 35C based on the category of aircraft and the approach. The categories A-D refer to the Landing Reference Speed (Vref) of the aircraft at a point 50 feet above the landing runway threshold.
| Aircraft Category | Vref Speed in Knots | Aircraft Type |
|---|---|---|
| A | < 91 | Single piston engine (C182) |
| B | 91-120 | Multi-engine piston/turboprop (B200) |
| C | 121-140 | Business/Commercial Jet (B737) |
| D | 141-165 | Widebody Commercial/Military Jet (B787) |
| E | > 165 | Special Military Jet |
The line reads S-ILS 35C CAT II RA 100/12 100 DA 663. What does this mean? Let's break down each segment individually.
S-ILS 35C means Straight In (S) Instrument Landing System (ILS) Approach to Runway 35C.
CAT II means it is a CAT II Approach. CAT II and III approaches refer to a Radar Altimeter (RA) reading when reaching the Decision Height (DH). A radar altimeter measures the height of the aircraft above the ground in feet. Decision Altitude (DA) refers to the altitude of the airplane above Mean Sea Level (MSL) as measured by a barometric altimeter.
RA 100/12 tells us that when the plane reaches the Decision Height (DH) the radar altimeter will display 100 feet, meaning the aircraft will be 100 feet above the ground (AGL). At this point to legally continue the approach the Runway Visual Range (RVR) must be 1,200 feet which is shown on the chart as 12.
100 DA 663 means that when the aircraft reaches the Decision Height (DH) of 100 feet AGL the barometric altimeter Decision Altitude (DA) will read 663 feet (MSL). We arrived at this number by adding the RA setting of 100 feet to the TDZE elevation. The Touchdown Zone Elevation (TDZE) of Runway 35C is stated as 563 feet, which is highlighted at the top of the approach plate above.
The precision equipment and approach lighting required to enable full CAT III approaches are expensive and for that reason, only certain runways at major commercial airports are usually fitted with this type of equipment. In fact not every runway end at every airport even has ILS equipment to enable instrument approaches due to low IFR traffic volumes, surrounding terrain, predominant wind direction, or other factors.
The implementation of GPS approaches by the FAA at airports across the U.S., especially smaller general aviation facilities are helping to change this situation. These procedures don't require the ILS equipment in order for pilots to use them and provide the same vertical and horizontal guidance precision down to the runway that an ILS system would.
Runway Approach Lighting
Runway approach lighting is also a key part of the equation in low visibility and contributes to the maximum ILS certification level of the runway. Approach lights help guide the pilot down to the runway and provide visual cues about the distance remaining to the runway threshold. There are seven types of approach lighting configurations used at airports as shown in the graphic below:
- ALSF-2: Approach Lighting System with Sequenced Flashing Lights Configuration 2
- ALSF-1: Approach Lighting System with Sequenced Flashing Lights Configuration 1
- MALSR: Medium Intensity Approach Lighting System with Runway Alignment Indicator Lights
- MALSF: Medium Intensity Approach Lighting System with Sequenced Flashers
- MALS: Medium Intensity Approach Lighting System
- ODALS: Omnidirectional Approach Lighting System
- REILS: Runway End Identifier Lights
In the United States, MALSR is the most widely used system, and it is sufficient for Category I ILS approaches. Runways 13R, 17R, 18L, 31R, 35L, 36L, and 36R at DFW Airport are fitted with a MALSR approaching lighting system. Runways 17L, 17C, 18R, 35R, and 35C at DFW are fitted with the ALSF-2 system shown below, which is certified for Category III ILS approaches by the FAA.
The approach lights provide pilots with visual cues out the windscreen as to the remaining distance to the runway and their approximate altitude without them having to look down at their instruments. The color of the lights also has a specific meaning to pilots, all of which is explained in the section below.
Runway Threshold Lights
The green runway threshold lights indicate the beginning of the useable landing runway. Some runways include a displaced threshold that can be used for takeoff but not for landing and the green runway threshold lights separate these two spaces. The threshold lights are usually spaced feet apart across the runway and extend out approximately 45 feet fro the runway edges.
Centerline Lights
The white centerline lights are a row of five lights (13.5 ft.) across and spaced 100 feet apart which extend 2,400 feet out from the runway threshold if the vertical glide slope is 2.75° or greater, or 3,000 feet if the glideslope is less than 2.75° Their purpose is to indicate the centerline of the runway when pilots can't visually site the runway end in low visibility.
Side Row Bars
The red side row bars extend out on either side of the centerline lights from the runway threshold to the 1,000-foot roll bars. Each light bar has three lights across and the side row bars are in line with the centerline lights, with the same 100 foot spacing between each side row bar.
500-Foot Roll Bars
White roll bar lights are placed on each side of the centerline lights at a distance of 500 feet from the runway threshold. Their purpose is to bridge the gap between the 1,000-foot roll bar and the runway threshold lights. When executing a CAT-II ILS approach with a minimum RVR of 1,200 it is possible the pilot might lose sight of the 1,000-foot roll bar under the nose before seeing the green threshold lights. Each 500-foot roll bar is made up of 4 white lights. At this point on the approach, the aircraft is approximately 50 feet above the ground and 1,500 feet from touchdown.
1,000-Foot Roll Bars
White roll bar lights are placed on each side of the centerline lights at a distance of 1,000 feet from the runway threshold. Each light bar has eight lights, giving a total of 21 lights across including the centerline lights. The roll bars are a visual indication to the pilot that the aircraft is 2,000 feet from touchdown, or roughly about a third of a mile. If the airplane is on the glideslope it should be 100 feet above the ground level at this point. The pilot aims to land the aircraft 1,000 inside the runway as this is where the ILS and visual approach equipment is located. This is done to ensure adequate separation from obstacles both man-made and natural on the approach. The CAT II ILS minimum decision height is 100 feet. So if by this point the pilot hasn't acquired either the red side row bar lights or the runway itself he has to initiate a missed approach.
Sequenced Flashing Lights
The sequenced flashing lights are strobe lights that blink in sequence at a rate of twice per second and terminate at the 1,000-foot roll bar. The sequence starts at the furthest light from the runway threshold and runs in towards the 1,000-foot roll bar, directing the pilot in towards the runway and marking the centerline.
Location of Other Aircraft
Runway selection at one airport can also be dependent on the traffic flow at other nearby airports. This is called an interdependent traffic flow and occurs when you have multiple high volume airports operating in close proximity to each other. New York City is perhaps the best example of this with three high volume commercial airports: LaGuardia (KLGA), Newark Liberty (KEWR), and Kennedy (KFJK) located within a 20-mile radius of manhattan. These three airports collectively handled 1,287,280 takeoffs and landings in 2019.
Because the airports are so close together and their traffic flows intermingle the FAA can't operate the runways independently at any of the airports as this could lead to traffic separation issues which could be dangerous. As a result, the traffic flow at all three airports along with Teterboro which is a hub for business jets must be coordinated to ensure proper separation between arrivals and departures at all four airports. This coordinate limits the efficiency of all airports and makes it difficult to optimize the utilization of the runways at each. New York TRACON has two major traffic flows North and South, and each flow is optimized for either high arrival or high departure capacity based on the time of day. A third flow is utilized for times when cloud ceilings and visibility minimums necessitate operations under instrument meteorological conditions (IMC). The graphic below illustrates the North Flow runway plan used by New York TRACON when visual meteorological conditions (VMC) exist.


Taxiing distances, including the availability of taxiways
Due to construction on the airport, certain taxiways may be closed making it necessary for ATC to use an alternative runway to ensure the smooth flow of traffic on the airport surface. In addition, certain taxiways have restrictions on which types of aircraft can use them based on the aircraft's wingspan and or tail height. The limitations are due to structures such as light poles, and buildings that are too close to the taxiway to allow certain aircraft to use them safely without risking impact with the obstacles. The airport Notice to Airman (NOTAMS) list taxiway wingspan restrictions to alert pilots to the potential hazard. All airports in the United States are designed to ensure that the taxiways, runways, and other surfaces comply with the standards established in FAA Advisory Circular 150/5300-13 which outlines the taxi clearance requirements for airport surfaces based on the Airplane Design Group classifications as shown in the chart below.
| Design Group | Wingspan in Feet | Tail Height in Feet | Typical Aircraft |
|---|---|---|---|
| I | < 49 | < 20 | Cessna 421/Piper PA-31 |
| II | 49-78 | 20-29 | CRJ-700/ERJ-145 |
| III | 79-117 | 30-44 | 737/A320/ERJ 190 |
| IV | 118-170 | 45-59 | 767/A300/A310 |
| V | 171-213 | 60-65 | 777/787/A330 |
| VI | > 214 | >66 | 747-8/A380 |
Most airports are not designed to handle Category F aircraft and those that are usually don't have adequate lateral spacing between parallel taxiways which severely restricts ATC's options for taxiing these aircraft without restricting the movement of other aircraft on parallel taxiways. Some airports like DEN also have pedestrian bridges between terminals that cross over an active taxiway. The height of the bridge limits which group aircraft can safely taxi under it based on their tail height. At Denver, the bridge between the main terminal and Concourse A which crosses over Taxiway AA is limited to Design Group I-II and III aircraft with a tail height of 42 feet or less.
Another consideration is the distance from the runway to the aircraft's parking position or gate. At airports with widely spaced parallel runway complexes like CLT, DEN, IAH, and PHX to name a few ATC will usually try to limit the taxi of aircraft from one side of the airfield to the other to avoid congestion and shorten the ground taxi of the aircraft which saves the operator both time and fuel.
Runway braking conditions (water, slush, or snow on the runway)
When runways are contaminated by some form of precipitation this moisture makes the runway surface wet which degrades the braking performance of the aircraft upon landing, which increases the rollout distance. In some cases, the braking action may be diminished to the point that ATC must use a longer runway even though it may not be optimal based on the current traffic flow. The FAA issues runway braking action reports to landing aircraft which gives pilots an indication of the current braking action for each third of the runway (touchdown, midpoint, and rollout). The report is based on a scale from 0-6 with 0 being nil and 6 being good braking action. The specific conditions for each category are spelled out in the chart below.

The FAA issues a Field Condition NOTAM (FICON) to alert pilots to the condition of runways when more than 25% of the runway surface is covered by some type of contaminant. The FICON reports the runway conditions over each third of the runway, including the depth and type of contaminant. The example below depicts a FICON report for RWY 7 at KDEN.
DEN RWY 07 FICON 5/3/3 20 PRCT 1/8IN WET SN, 50 PRCT 1/4IN WET SN, 25 PRCT 3IN WET SN OVER ICE and 50 PRCT 1/4IN WET SN OBS 1709142044.
This report says that Denver Runway 7 has a Runway Condition Code (RwyCC) of 5 in the touchdown zone, 3 at the midpoint, and 3 in the rollout portion of the runway. In the touchdown zone, 20% of the runway surface is covered by 1/8 inch of wet snow. At the midpoint, 50% of the runway surface is covered by 1/4 inch wet snow. In the rollout area, 25% of the runway surface is covered by 3 inches of wet snow over ice and 50% is covered by 1/4 inch wet snow. The observation was taken on September 14, 2017, at 20:44 Zulu time.
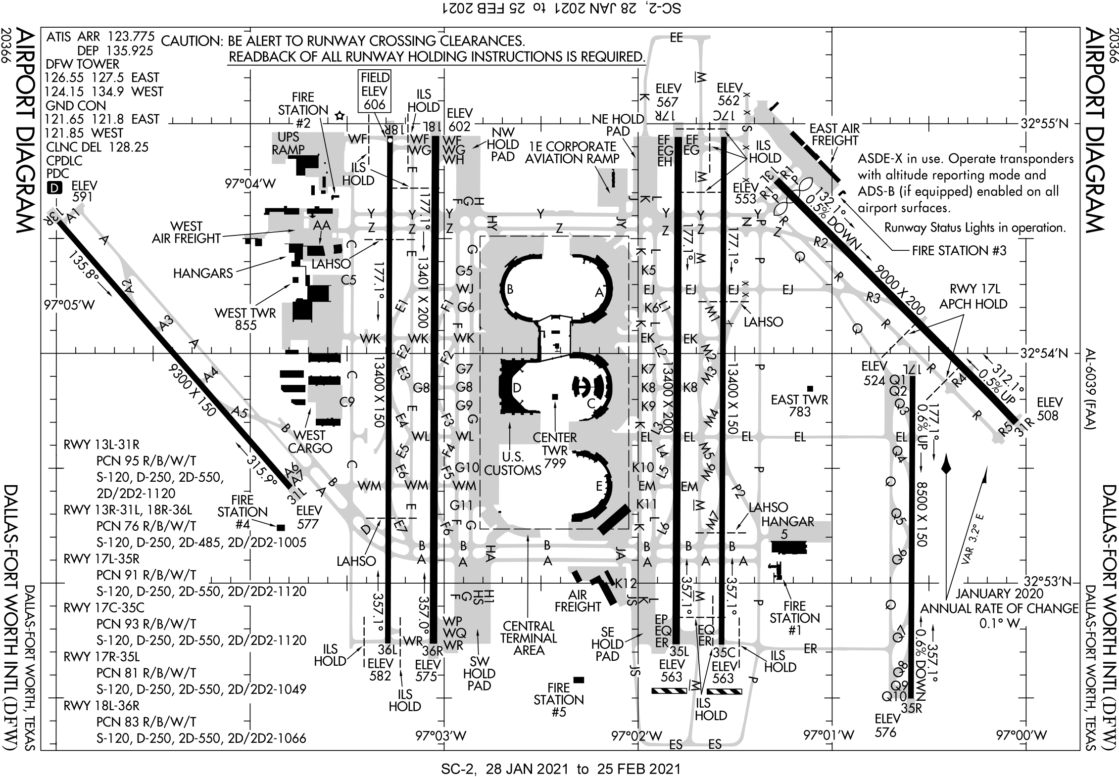
Runway Designations
Have you ever wondered how runways are numbered and why parallel runways have a Left or Right designation? In aviation, runways are labeled based on their magnetic compass heading, rounded to the nearest ten degrees. In the case of headings between 100-360°, the trailing zero is dropped from the designation so Runway 12 is actually on a magnetic compass heading of 120°. The heading is based on the direction the runway faces from the takeoff end. So an aircraft lined up on Runway 12 is facing roughly south. The opposite end of the runway is designated Runway 30 as it is exactly 180° magnetic degrees difference from Runway 12.
If an airport has two or more parallel runways aligned on the same heading to avoid pilot and controller confusion they will be designated Left, Center, or Right. The direction is once again based on the direction an aircraft is taking off or landing so an airplane on final approach to land on Runway 12R would mean that the runway to his right as he looks out the cockpit windscreen would be 12R, and the runway to his left side would be 12L. On the runways opposite end, the Left and Right designations are flipped as the pilot's orientation to the runway has flipped 180° degrees meaning that the opposite end of Runway 12R is 30L.
If an airport has three parallel runways on one side of the airport such as Dallas/Fort Worth (DFW) you may have a left, center, and right runway designation like runways 17L/35R, 17C/35C and 17R/35L. Airports that have two sets of parallel runways on opposite sides of the airfield like at Los Angeles (LAX) separated by the passenger terminal complex are labeled with two different compass headings offset by 10°, such as runway pairs 6L/24R and 6R/24L on the north side of LAX and runway pairs 7L/25R and 7R/25L on the south side of the airport.

Taxiway Designators
Taxiways at the airport are designated by phonetic letters and numbers as shown in the chart above. Each taxiway has a unique identifier and using numbers and letters makes it easy for pilots and controllers to understand which taxiways to use when taxiing out to the runway for departure or from the runway to the ramp after landing. Taxiway designators can have one, two, or three alphanumeric characters such as "S" Sierra, "A1" Alpha-One, "WK" Whiskey-Kilo, or "C10" Charlie-Ten. Ground controllers issue taxi instructions to all airplanes indicating the specific route the aircraft is to follow.
For example, an aircraft that has just pushed back from Terminal D at DFW Airport which is taking off on Runway 36R might be given the following taxi route to the runway: Golf-7, Foxtrot, Whiskey-Quebec to Runway 36R.